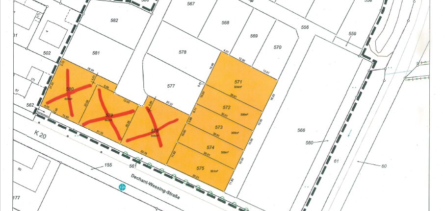
Nachdem das erste Vergabeverfahren für die Grundstücke im Hoetmarer Baugebiet „Weidkamp“ nicht zur vollständigen Vergabe aller Grundstücke geführt hat, sind nun die verbliebenen Grundstücke im freien Verkauf. Es handelt sich um ein Grundstück für ein Einfamilienhaus (EFH), vier für jeweils eine Doppelhaushälfte.
Jeder kann sich bei Interesse beim Team Liegenschaften der Stadt Warendorf melden. Es wird kein neues Bewerbungsverfahren mit Vergabe über sog. Sozialpunkte und Erstellung einer Ranking-Liste gestartet. Die Verpflichtungen des Erwerbers bleiben jedoch:
- eine Weiterveräußerung des Grundstücks in unbebautem Zustand ist zu unterlassen.
- innerhalb von drei Jahren nach Baureife des Grundstücks bzw. Eigentumserwerb ist das Bauvorhaben fertigzustellen.
- das errichtete Gebäude ist für mindestens 10 Jahre (ab Erteilung der Baugenehmigung) selbst zu nutzen.
Diese Verpflichtungen werden durch Eintragung im Grundbuch gesichert.
Jeder Interessent kann nur ein Baugrundstück erwerben.
Die angebotenen Wohnbaugrundstücke werden zu einem Kaufpreis von 170 EUR/m² einschließlich der Erschließungskosten nach dem Baugesetzbuch (BauGB) veräußert. Zusätzlich zu dem Kaufpreis hat der Erwerber die Kosten für die von der Stadt auf dem Kaufgrundstück errichteten privaten Entwässerungsschächte (jeweils ein Regenwasser- und Schmutzwasserschacht) i. H. v. 2.470 EUR (brutto) zu erstatten. Die Kosten für den Anschluss an Ver- und Entsorgungsleitungen bzw. Ver- und Entsorgungseinrichtungen sind vom Käufer zu tragen.
Der Erwerb eines Grundstückes ist mit weiteren Kosten (z.B. Grunderwerbssteuer, Notarkosten, Gerichtsgebühren) verbunden. Aufwendungen jeder Art werden dem Erwerber nicht ersetzt.

